Aktiver Javascript i din nettleser for en bedre opplevelse på regjeringen.no
For å endre tekststørrelsen, hold Ctrl-tasten nede (Cmd-tasten på Mac) og trykk på + for å forstørre eller - for å forminske.
Utvalgte hurtiglenker
Finn tema
Finn dokument
Aktuelt
Departementene
Regjering
Del
Lenkeverktøy er aktivert, trykk på lenkeikon ved siden av overskrift/avsnitt for å kopiere lenke.Slå av lenkeverktøy
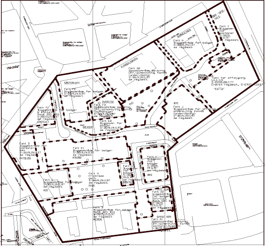
Figur 1.1
Du kan kopiere lenke til et spesifikt kapittel/avsnitt